![]() |
| @ Slaughterhouse Beach |
在進入正文前我一定要先大推 Maui Revealed 這本旅遊書,
它的副標「The Ultimate Guidebook」完全沒有誇大,
真正是一本比葵花寶典還寶典的 Maui 自助旅遊聖經,
無論是知名景點或私房收藏,
作者除了一針見血地列出優缺點外,
作者除了一針見血地列出優缺點外,
還會很貼心地指出一些實用的必要細節,
像是各個海灘要從幾哩路標的避車道(turnout)下去、
附近有什麼明顯的地標等(這很重要,有些海灘實在不好找);
甚至是車要停哪個方向以免被開罰單都會告訴你。
有了它根本不必另外再查資料,
雖然書有點重,但帶著它在 Maui 上趴趴走絕對值得。
下面就是我們照書跑了的幾個海灘,
去過之後就知道它內容有多實用又中肯。
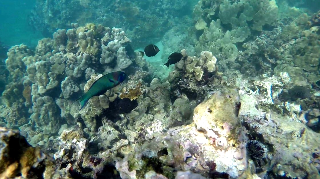
⊕ Honolua Bay
Honolua Bay 位於 Maui 西北角,是個自然生態保護區,可以想見珊瑚礁和魚群有多令人目不暇給,
除了 Molokini 外,想大開眼界的來這兒就對了。不過雖然 Honolua 開車就能到, 但其實沒有比較方便。
第一,那裡天氣一差水就容易濁,務必挑大晴天去。
第二,那裡完全是個岩岸,游出去之後才會看到沙底,上下岸不是很方便(除了石頭外,雞也莫名的多)。
![]() |
第三點是優點也是缺點(對我來說啦),就是那邊珊瑚礁又多又密,
而且很多地方離海面很近,搞得我很焦慮,一直提心吊膽,深怕會踢到它們,
偏偏我又不會踢蛙腳,所以想移動的話,只能雙腿像剪刀一樣一開一合前進,感覺蠢弊了。
| 常見的微笑魚 |
| 尾巴綁蝴蝶結魚 |
| 小藍魚。我第一次看到海葵快嚇死了,以為是人的手指頭。= =" |
Honolua Bay 的岸邊有人貼了張手寫的告示,
除了再次強調不要餵魚、不要留垃圾外,還要大家不要擦防曬,以免破壞珊瑚礁。
我之前看研究,好像是說防曬會造成珊瑚礁白化,
怕曬黑的話 costco 和泳裝店都有賣可以穿下水的薄防曬衣,順便還有點禦寒效果,是更好的選擇。
題外話,平時在陸上要擦防曬的話,推薦可以買 Hawaiian Tropic,
它無動物實驗,而且在像小七一樣氾濫的 ABC Store 都買的到,非常方便。
⊕ Slaughterhouse Beach
Slaughterhouse Beach 位於 Honolua Bay 前方不遠處,
名字很嚇人,但風景很漂亮(不過據說天氣差的時候就完全是另一回事),
不少人在這裡 boogie board, Honolua Bay 浮潛累了後很適合來這裡休息一下 。
⊕ Po' olenalena Beach
如果你很怕人擠人,那麼趁著「週間」來 Po'olenalena 就對了(週末一樣人多),
我們去的那天大概早上8點多到,除了一些露營客外,海裡只有小貓兩三隻,害我覺得有點可怕,
等我們九點離開的時候人才開始多了些。
也因為人少,所以還保有豐富的珊瑚礁和魚群,非常適合浮潛,
近海的沙岸平時適合游泳,偶有小浪還可以玩 boogie Board,
三種願望一次滿足,好沙灘,不去嗎?
⊕ Makena Beach
Makena Beach 很容易找錯,但不是因為不好找,而是名字太混淆,
那兒附近有幾個海灘的名字中都有 Makena ,就算問當地人也很有可能被指錯路。
正港的 Makena Beach 是位於 Makena Beach & Golf Resort 後方的海灘,
平時人不多,海水清澈,白沙細軟,適合游泳,
左方(南方)的海龜很多,是 Maui 的幾個 turtle town 之一(我想 Kai Kanani 就是帶我們去那兒看海龜)。
我們看書才想到自己就住 Makena Resort,但都還沒去浮潛過,於是趕快去抱佛腳一下,
也的確給我們看到一隻在睡覺的海龜,不過想看到更多可能得游到更深更遠的地方,
所以得自己評估一下體力,確定游得回來才行;
而且 Maui 的海灘幾乎都沒有救生員,人少的地方更要自己注意安全,以免求救無門。
⊕ Kapalua Beach
(沒有照片,因為已經累了。XD)
如果你和我一樣對自己泳技毫無信心,或想找個比較安全的地方讓小孩子戲水,
Kapalua Beach 會是你的好選擇。
這裡的海水跟其他地方相比或許沒那麼清澈,因此不算是浮潛的好地點,
但風平浪靜,人氣又旺,絕對是游泳好去處。
書上還寫另一個海灘 Kahekili Beach 南端是另一個游泳聖地,
擁有「最細緻的白紗和最夢幻的海水」(the sandiest bottom and the dreamiest water),
不過我們海灘跑到後來有點麻木就沒去了,maybe next time!
本來以為自己跑了很多海灘,但實際列出來才發現只有幾個,大海真的好遼闊啊!(又在爛尾 XD了)






No comments:
Post a Comment